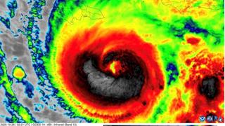
Bão Melissa trở thành cơn bão mạnh nhất thế giới năm 2025
Thế giới
28/10/2025
(ANTV) - Theo Trung tâm Bão Quốc gia Mỹ (NHC), cơn bão Melissa tiếp tục mạnh lên và hiện là cơn bão mạnh nhất thế giới trong năm 2025.